WhatsApp
Pronostico del tiempo
Puentes Internacionales
Twitter
Instagram
YouTube
Facebook

+

El huracán Melissa, de categoría 5, azota Jamaica con vientos y lluvias devastadores, es ‘extremadamente peligroso’

Se prevé que tocará tierra en esta isla las 'próximas horas' manteniendo su intensidad extrema

  • 17

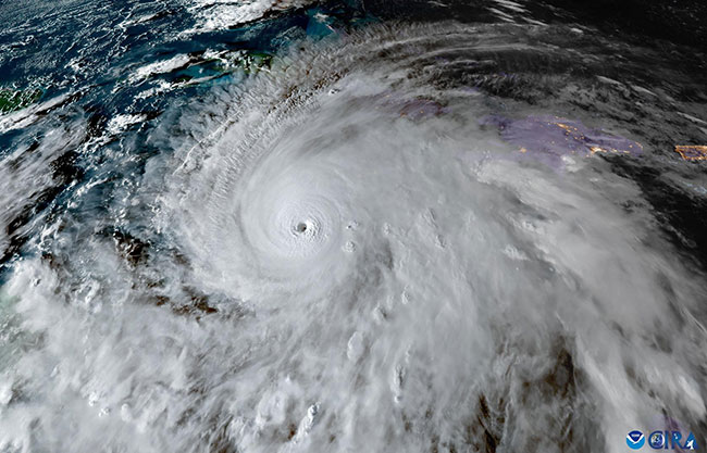
Miami.- Los efectos del huracán Melissa, de categoría 5, golpean ya Jamaica con vientos catastróficos y lluvias torrenciales y se prevé que tocará tierra en esta isla las "próximas horas" manteniendo su intensidadextrema, informó este martes el Centro Nacional de Huracanes (NHC) de Estados Unidos. 

Melissa se aproxima a la costa occidental de Jamaica con vientos sostenidos de 280 kilómetros por hora (175 millas por hora), lluvias torrenciales y marejadas que amenazan con provocar inundaciones y daños catastróficos, detalló. 

El organismo meteorológico advirtió de que Melissa tocará tierra en las próximas horas, manteniendo su intensidad extrema antes de cruzar el sureste de Cuba el miércoles y llegar a las Bahamas el jueves.


Las estaciones meteorológicas de Kingston y Montego Bay ya registran vientos sostenidos superiores a 60 kilómetros por hora (37 millas por hora) y ráfagas de hasta 93 kilómetros por hora (58 millas por hora), mientras un avión "Cazahuracanes" de la Fuerza Aérea de Estados Unidos se dirige al área para evaluar los daños y confirmar la intensidad del fenómeno. 

A las 8:00 hora local de Miami (12:00 GMT), sede del NHC, el centro del ciclón se encontraba a 90 kilómetros (55 millas) al sur-sureste de Negril, en el extremo occidental de la isla, desplazándose hacia el nornoreste a 11 kilómetros por hora (7 millas por hora). 

El NHC mantiene alertas de huracán para toda Jamaica, las provincias orientales de Cuba -Granma, Santiago de Cuba, Guantánamo y Holguín-, así como para las Bahamas centrales y del sureste. Haití, Las Tunas (Cuba) y las islas Turcos y Caicos permanecen bajo aviso de tormenta tropical. 

Las autoridades jamaicanas instaron a la población a permanecer en refugiosseguros, ante la inminencia de vientos devastadores que podrían causar "fallos estructurales totales", especialmente en zonas montañosas donde las ráfagas pueden ser hasta un 30 % más fuertes.


Melissa ha generado lluvias acumuladas de entre 3.8 y 7.6 metros (15 a 30 pulgadas) sobre la isla, con máximos de hasta 10 metros (40 pulgadas), lo que provocará inundaciones repentinas y deslizamientos de tierra generalizados, según el NHC. 

En el este de Cuba se esperan acumulaciones de hasta 6.3 metros (25 pulgadas), con riesgo de deslizamientos e inundaciones "potencialmente catastróficas", mientras que en el sureste de Bahamas y en Turcos y Caicos se prevén entre 1,2 y 2,5 metros (5 a 10 pulgadas) de lluvia entre hoy y mañana. 

El ciclón también provocará una marejadaciclónica de entre 2,7 metros y 4 metros (9 a 13 pies) sobre el nivel del suelo en la costa sur de Jamaica, acompañada de olas grandes y destructivas, y de entre 2,10 y 3,35 metros (7 a 11 pies) en el sureste de Cuba. El NHC advirtió además de que el fuerte oleaje generado por Melissa afectará durante varios días a Haití, Jamaica, Cuba, las Islas Caimán, las Bahamas, Turcos y Caicos y Bermudas, generando condiciones peligrosas en el mar y corrientes de resaca.  

Publicación anterior Sheinbaum espera que Álvarez Puga sea enviado a México tras detención en EU
Siguiente publicación Prevén marcado descenso en las temperaturas para este miércoles
Entradas relacionadas
Comentarios
  TV en Vivo ;